Altair 2nm CaK Solar Contrast Filter - 1.25" 393.3nm
Product information
Another first for solar astronomy, the Altair CaK 2nm Solar filter enhances finer details in the solar photosphere.
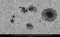
Contrast is enhanced, giving improved visibility of faculae against the photosphere, and between umbral and penumbral features of a sunspot. The structural details visible within sunspots and their immediate surroundings is improved. Photosphere convection cells, also known as "granulation" are also enhanced. We have uploaded two high resolution images of sunspots taken with Altair CaK filter (3nm Prototype) taken in 2024 by Christian Viladrich in Beta testing. The production version has even better performance.
Please note: This filter is designed to be used with a safe, professional brightness reduction filter, such as Baader Solar Film Filters (reflectors and refractors) or the Altair Imaging-Ready Herschel Wedge (refractors only).
Each filter is provided with a high resolution spectrographic analysis, unique to that particular filter serial number.
IMPORTANT SAFETY INFORMATION: DO NOT USE THIS FILTER FOR DIRECT SOLAR OBSERVATION! Must be used together with a professional solar filter film or glass type, or Hershel Wedge with Max. 0.024% transmission placed BEFORE this filter. For reflecting telescopes, we recommend installing a solar film filter on the front of the telescope, then screwing the filter into a filter holder, camera, or eyepiece. For refractors, the CaK filter should be positioned just in front of the camera or eyepiece with a Hershel Wedge in place ahead of it. Do not use this filter without a suitable solar pre-filter in place, because it will permanently damage your eyes or camera!
UV, IR and visual wavelengths are blocked, and only an ultra-narrow 2nm FHWM blue band at 393.3nm is transmitted to your camera. This greatly increases the contrast of solar features when observed or imaged with a colour or mono camera, revealing more detail in the solar photosphere.
A mono camera is recommended, such as the superfast Altair Hypercam 174M or ultrafast Altair GPCAM3 287M Mono USB3 Camera (AKA "Babyshark")
NOTE: Do not insert the filter before your Hershel Prism or it will melt! It should be placed just in front of the camera, and will screw directly into the Altair GPCAM or any other 1.25" nosepiece. For a Hypercam with 2" nosepiece you can order a 1.25" nosepiece (Product code: ALTAIRH-125IN) or use an Altair Magnetic Filter holder with 1.25" filter slider (Search product code starting with "MAGF" and choose the correct thread for your camera).
Altair 2nm CaK Solar Contrast Filter filter specifications:
- Standard 1.25" Filter Threaded Aluminium-anodized Cell
- CWL 393.3 +/- 0.2nm 88-95% transmission across the batch.
- FWHM 2nm, tolerance 0.3nm.
- 2mm thick λ/4 quartz substrate, Parallelism (arcsec) 30"
- UVIR Block 300-1100nm and Anti-Reflection Coating, SiO2 hard overcoat
- High resolution spectrographic test report included corresponding to each individual filter.
Altair Astro and Authorised Resellers reserve the right to change the product specification and price without notice.
Product Info
| SKU | F125CAK2NM |
| MPN | F125CAK2NM |
| GTIN | 0797725137455 |
| Brand | Altair |
| Product Code | F125CAK2NM |
|
Delivery Weight Package
|
0.5kg |

-16061-p.jpg?w=121&h=121&v=80435301-9C69-475C-9583-4D76BA473B7D)
-16061-p.jpg?w=121&h=121&v=5D0FECC7-572C-41EF-94F5-66D7FE811877)
-16061-p.jpg?w=121&h=121&v=DD08DBCE-8551-4EEF-9B5B-11935109DC9D)
-16061-p.jpg?w=121&h=121&v=2BCEE262-27B2-48B9-8D1A-9BF5ACBC25E1)



